• 0232. 3827333 - 0232. 3896 333
  • daugiatruongha@gmail.com
daugiatruongha.vndaugiatruongha.vndaugiatruongha.vn
  • Trang chủ
  • Giới thiệu
    • Thư ngỏ
    • Hồ sơ năng lực
  • Thông báo đấu giá
    • Bất động sản
    • Động sản
    • Ô tô - Xe máy
  • Hướng dẫn thủ tục
    • Quy chế đấu giá
    • Quy trình bán đấu giá
    • Thủ tục bán đấu giá
  • Liên hệ

Thông báo đấu giá

  • Bất động sản
  • Động sản
  • Ôtô - Xe máy
Bất động sản
07 Tháng 11 2025
Lượt xem: 40

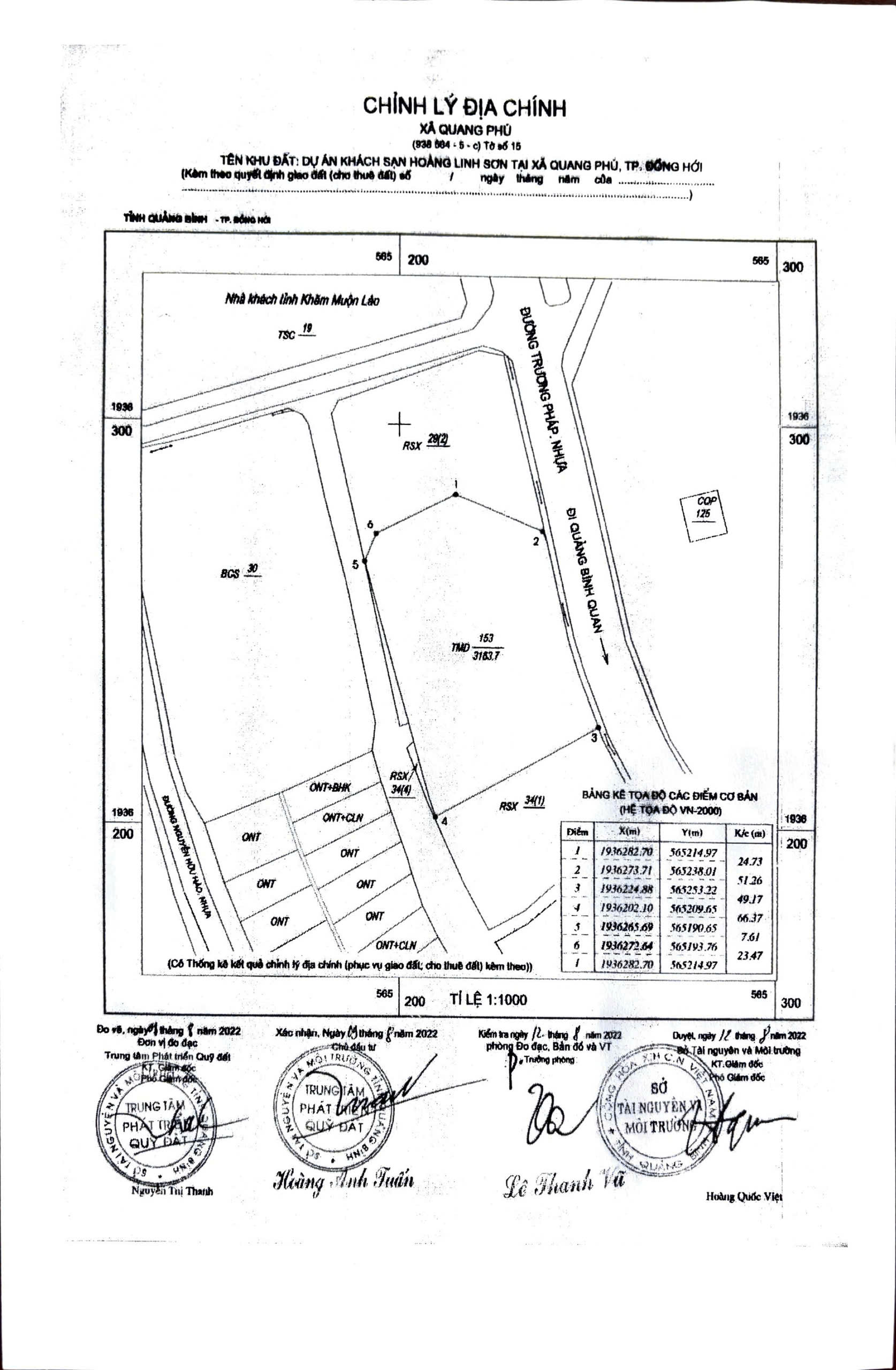
THÔNG BÁO ĐẤU GIÁ QUYỀN SỬ DỤNG ĐẤT THUÊ ĐỂ THỰC HIỆN DỰ ÁN KHÁCH SẠN HOÀNG LINH SƠN, THỬA ĐẤT SỐ 153, TỜ BẢN ĐỒ SỐ 15, DIỆN TÍCH: 3.163,7 M2 TẠI XÃ QUANG PHÚ, THÀNH PHỐ ĐỒNG HỚI, TỈNH QUẢNG BÌNH (NAY LÀ PHƯỜNG ĐỒNG THUẬN, TỈNH QUẢNG TRỊ)

?THÔNG BÁO ĐẤU GIÁ QUYỀN SỬ DỤNG ĐẤT THUÊ ĐỂ THỰC HIỆN DỰ ÁN KHÁCH SẠN HOÀNG LINH SƠN, THỬA ĐẤT SỐ 153, TỜ BẢN ĐỒ SỐ 15, DIỆN TÍCH: 3.163,7 M2 TẠI XÃ QUANG PHÚ, THÀNH PHỐ ĐỒNG HỚI, TỈNH QUẢNG BÌNH (NAY LÀ PHƯỜNG ĐỒNG THUẬN, TỈNH QUẢNG TRỊ)

 

?Thời gian, địa điểm bán hồ sơ mời tham gia đấu giá và tiếp nhận hồ sơ đăng ký tham gia đấu giá:
- Tại trụ sở Công ty đấu giá hợp danh Trường Hà: Từ 07 giờ 30 phút ngày 07/11/2025 đến 16 giờ 30 phút ngày 11/12/2025.
- Tại trụ sở Trung tâm Dịch vụ việc làm Thanh niên tỉnh Quảng Trị, địa chỉ: số 42 Trần Quang Khải, phường Đồng Hới, tỉnh Quảng Trị: Từ 07 giờ 30 phút ngày 11/12/2025 đến 16 giờ 30 phút ngày 11/12/2025.
?Thời gian, địa điểm tiếp nhận phiếu trả giá: Từ 07 giờ 30 phút ngày 07/11/2025 đến 16 giờ 30 phút ngày 24/12/2025 tại trụ sở Công ty đấu giá hợp danh Trường Hà.
?Thời gian, địa điểm xem tài sản: Từ ngày 11/11/2025 đến ngày 13/11/2025 tại vị trí thửa đất đưa ra đấu giá. Khách hàng có nhu cầu liên hệ Công ty đấu giá hợp danh Trường Hà để sắp xếp, bố trí thời gian cụ thể đi xem tài sản.
?Thời gian nộp tiền đặt trước: Từ 07 giờ 30 phút ngày 19/12/2025 đến 17 giờ 00 phút ngày 25/12/2025 vào tài khoản số: 5331151969 của Công ty đấu giá hợp danh Trường Hà, mở tại Ngân hàng TMCP Đầu tư và Phát triển Việt Nam (BIDV).
?Thời gian, địa điểm tổ chức buổi công bố giá đã trả: Vào lúc 08 giờ 30 phút, ngày 27/12/2025, tại Hội trường khu nhà làm việc 5 tầng thuộc trụ sở Trung tâm Dịch vụ việc làm Thanh niên tỉnh Quảng Trị. Địa chỉ: Số 42 Trần Quang Khải, phường Đồng Hới, tỉnh Quảng Trị.

 

Mọi chi tiết xin liên hệ:
CÔNG TY ĐẤU GIÁ HỢP DANH TRƯỜNG HÀ
- Địa chỉ:  Số 52 Mai Thúc Loan, phường Đồng Hới, tỉnh Quảng Trị
- SĐT: (0232) 3896 333; Mr Phước: 0906 498 789

1

2

3

4

  • Trang trước
  • Trang sau
Design by:congtyf5.com
  • Trang chủ
  • Giới thiệu
    • Thư ngỏ
    • Hồ sơ năng lực
  • Thông báo đấu giá
    • Bất động sản
    • Động sản
    • Ô tô - Xe máy
  • Hướng dẫn thủ tục
    • Quy chế đấu giá
    • Quy trình bán đấu giá
    • Thủ tục bán đấu giá
  • Liên hệ