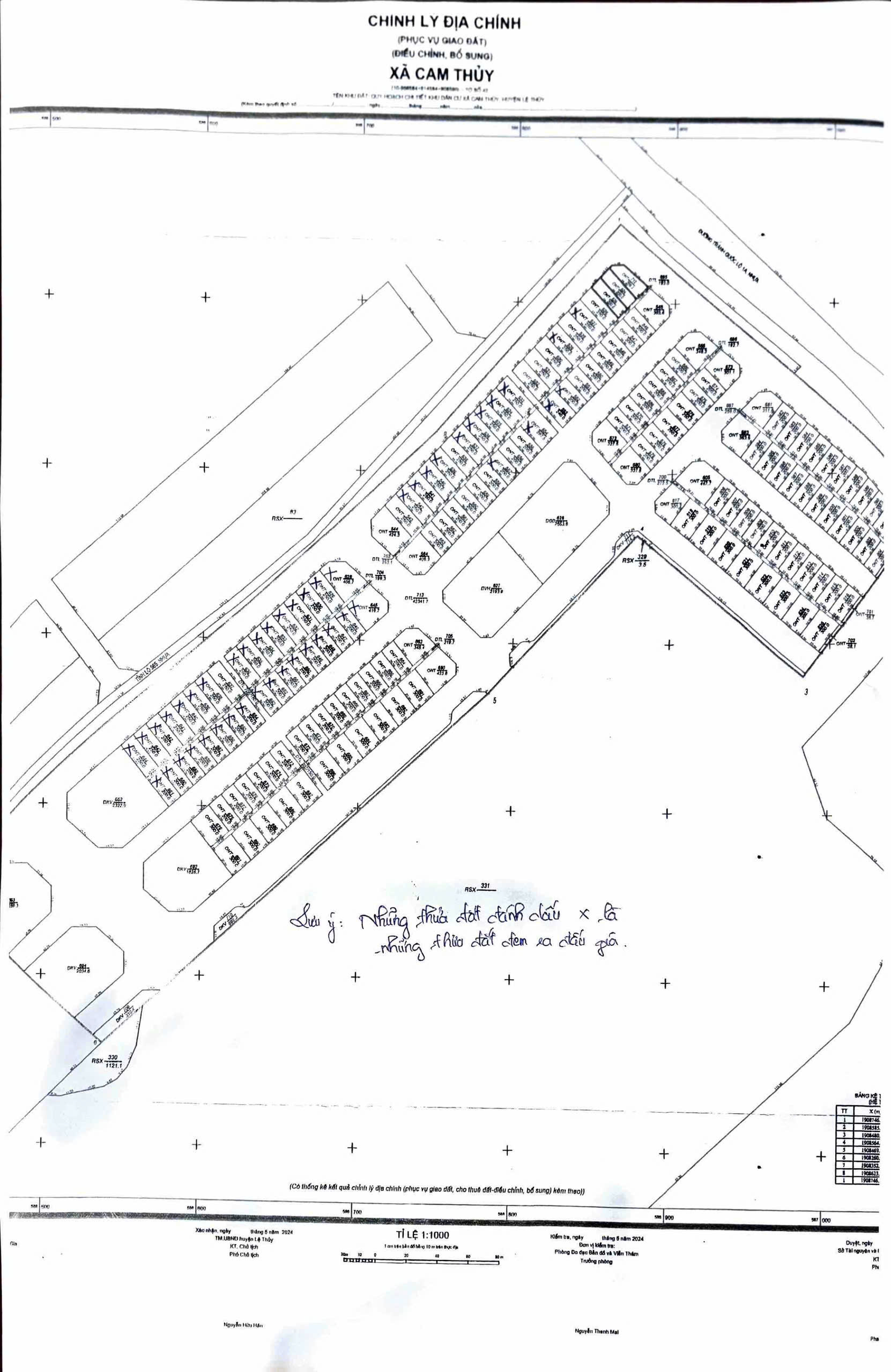
THÔNG BÁO ĐẤU GIÁ QUYỀN SỬ DỤNG ĐẤT ĐỐI VỚI 49 THỬA ĐẤT Ở TẠI DỰ ÁN KHU DÂN CƯ CAM THỦY, XÃ CAM HỒNG, TỈNH QUẢNG TRỊ.
- Địa điểm: Tại trụ sở Công ty đấu giá hợp danh Trường Hà, địa chỉ: số 52 Mai Thúc Loan, phường Đồng Hới, tỉnh Quảng Trị.
- Ngoài ra để tạo điều kiện thuận lợi cho người dân, Công ty sẽ tổ chức bán và tiếp nhận hồ sơ đăng ký tham gia đấu giá tại trụ sở Ban quản lý dự án Đầu tư xây dựng và Phát triển quỹ đất Lệ Thủy, địa chỉ: số 01 Hoàng Hối Khanh, xã Lệ Thủy, tỉnh Quảng Trị, trong thời hạn 03 ngày làm việc liên tục từ ngày 21/10/2025 đến ngày 23/10/2025.
Thu tiền đặt trước:
Liên tục từ 07 giờ 30 phút, ngày 09/10/2025 đến 16 giờ 30 phút, ngày 23/10/2025 vào tài khoản của Công ty đấu giá hợp danh Trường Hà.
+ Tài khoản số: 299555999, mở tại Ngân hàng TMCP Quân đội (MBbank);
+ Tài khoản số: 0311000735986, mở tại Ngân hàng TMCP Ngoại thương Việt Nam (Vietcombank).
Số tiền đặt trước phải báo có trong tài khoản trước 16 giờ 30 phút, ngày 23/10/2025, nếu báo có sau 16 giờ 30 phút, ngày 23/10/2025 sẽ không được ghi nhận, hồ sơ đó không hợp lệ, không đủ điều kiện tham gia đấu giá.
Tổ chức phiên đấu giá:
- Thời gian: Vào lúc 08 giờ 30 phút, ngày 28/10/2025.
- Địa điểm: Tại hội trường Ban quản lý dự án Đầu tư xây dựng và Phát triển quỹ đất Lệ Thủy, địa chỉ: số 01 Hoàng Hối Khanh, xã Lệ Thủy, tỉnh Quảng Trị.







